Syndyk sprzeda nieruchomość.

Nieruchomości Sprzedaż Działki

65 278,00 zł

{{ phone }}

Dodane przez: Jacek105
Lokalizacja: Śląskie
Nowa Wieś, 42-460 Mierzęcice
Telefon: {{ phone }}

Szczegóły

Rynek: wtórny
Typ: Sprzedam
Powierzchnia działki: 500

Opis

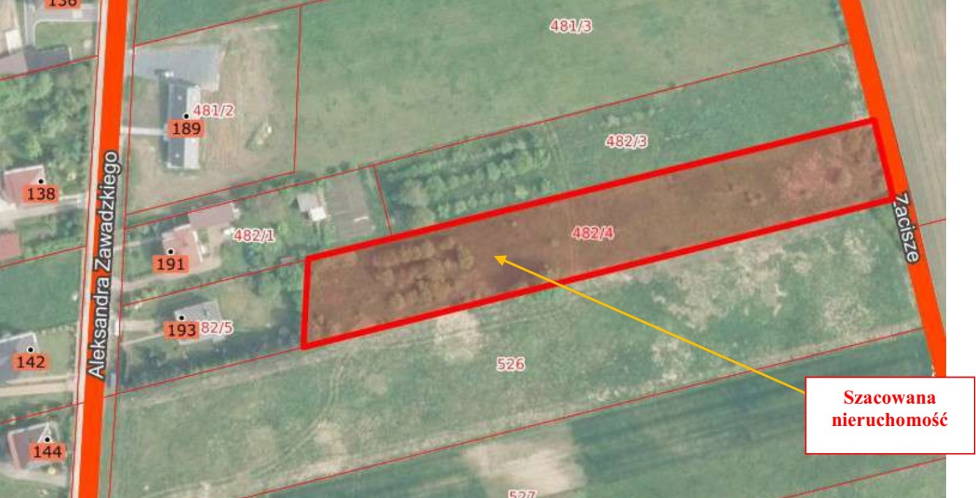
Syndyk masy upadłości w ramach postępowania upadłościowego prowadzonego na podstawie postanowienia Sądu Rejonowego dla Krakowa - Śródmieścia w Krakowie, VIII Wydział Gospodarczy z dnia 12 lipca 2024 roku o ogłoszeniu upadłości osoby fizycznej nieprowadzącej działalności gospodarczej - sygn. akt KR1S/GUp/83/2023 sprzeda z wolnej ręki nieruchomość gruntową niezabudowaną, składającą się z działki o nr 482/4, o powierzchni 0,5004 ha położoną w Nowej Wsi, gmina Mierzęcice, powiat będziński, województwo śląskie, opisaną księgą wieczystą o numerze CZ1Z/00077783/4 prowadzoną przez Sąd Rejonowy w Zawierciu, V Wydział Ksiąg Wieczystych.
Szczegółowy opis przedmiotu sprzedaży i jego wycena zawarte są w operacie szacunkowym, który znajduje się do wglądu w kancelarii syndyka przy ul. Goldhammera 10/4 w Tarnowie (tel.: 606876456, adres email: konkursofertsjz@op.pl.

Sprzedaż nieruchomości odbędzie się w formie konkursu ofert, za cenę nie niższą niż 65 278,00 zł (sześćdziesiąt pięć tysięcy dwieście siedemdziesiąt osiem złotych zero groszy). Warunkiem przystąpienia do konkursu jest złożenie oferty w języku polskim, w terminie do dnia 9 lutego 2026 r. do godziny 17.00, w kancelarii syndyka przy ul. Goldhammera 10/4 w Tarnowie i wpłacenie w tym terminie wadium w wysokości 6 500,00 zł na konto funduszy masy upadłości. Szczegółowy regulamin konkursu ofert znajduje się w kancelarii syndyka.

Oferty można też przesłać listem poleconym na adres kancelarii syndyka z tym, że o ważności dotrzymania terminu złożenia oferty decyduje data wpływu oferty do kancelarii, a nie data jej nadania.
O ważności wpłaty wadium decyduje data uznania konta funduszów masy upadłości.

Otwarcie i rozpoznanie ofert nastąpi w dniu 10 lutego 2026 r. o godz. 10.00 w Kancelarii Syndyka przy ul. Goldhammera 10/4 w Tarnowie.

Syndyk zastrzega sobie prawo do odstąpienia od konkursu ofert lub unieważnienia konkursu ofert bez podawania przyczyn na każdym etapie postępowania, tj. do momentu podpisania umowy przeniesienia własności przedmiotu konkursu.

Map

Formularz kontaktowy

This site is protected by reCAPTCHA and the Google Privacy Policy and Terms of Service apply.

Podobne ogłoszenia w tym samym województwie

Reklama strony http://scentsociety.eu/